Identity elements
Reference code
US WaBuPNRA D0027-003-012-002-Plat012424
Name and location of repository
Level of description
Item
Title
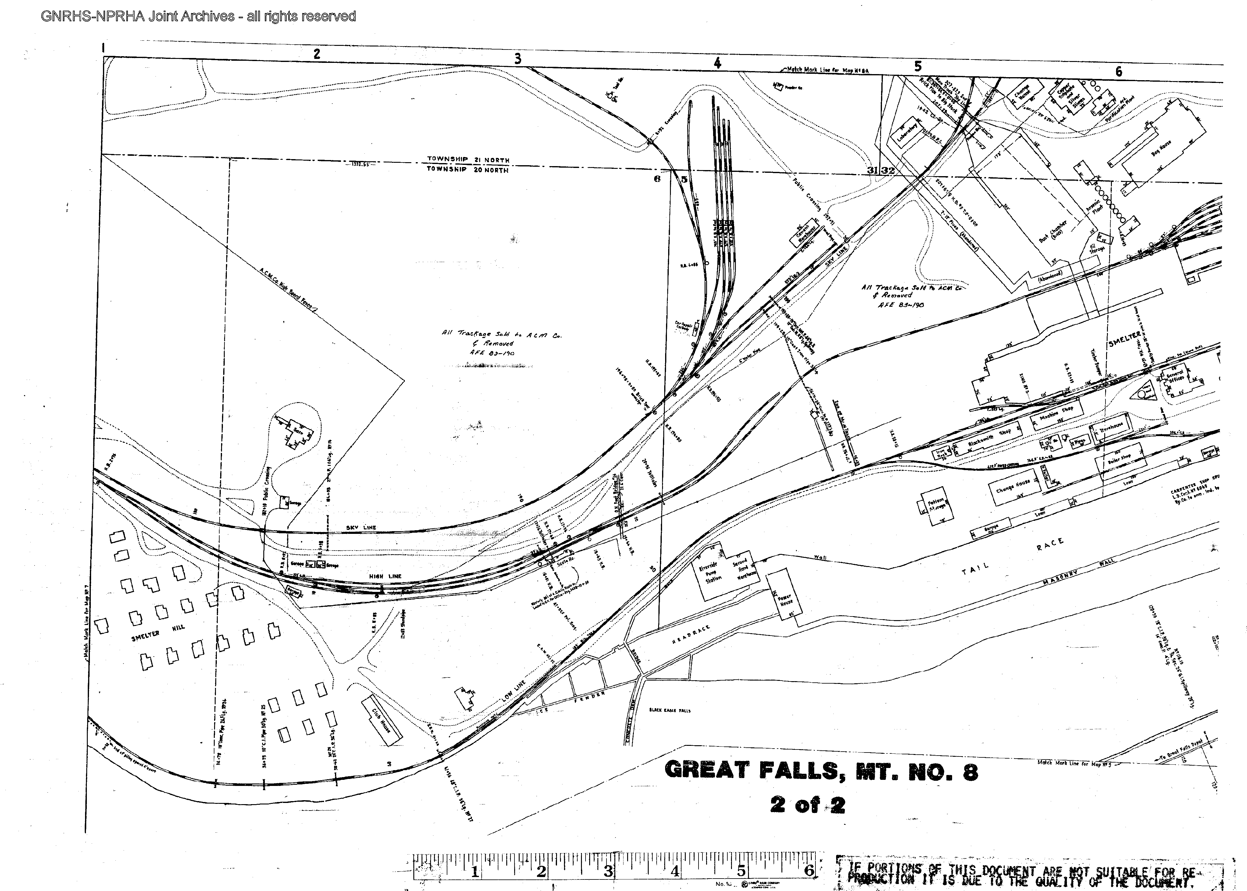
Plat Map of Great Northern Facilities at Great Falls, Montana, 1932
Date(s)
- June 1, 1932 (Creation)
Extent
1 map
Name of creator
Content and structure elements
Scope and content
Plat Map of Great Northern facilities at Great Falls, Montana, June 1, 1932, Sheet Number 2, Line Segment 703, showing the Anaconda trackage.
System of arrangement
Conditions of access and use elements
Conditions governing access
Please see the Great Northern Railway Historical Society Collection Management Policy for further information.
Physical access
Technical access
Conditions governing reproduction
Please see the Great Northern Railway Historical Society Reproduction Policy for further information.
Languages of the material
- English
Scripts of the material
- Latin
Language and script notes
Finding aids
Generated finding aid
Acquisition and appraisal elements
Custodial history
Ownership of Great Northern Railway subjects resides in the the Great Northern Railway Historical Society unless otherwise noted.
Immediate source of acquisition
Donated by Timothy Miller. Accrual W2008-001 received on April 5, 2008.
Appraisal, destruction and scheduling information
Accruals
Related materials elements
Existence and location of originals
Existence and location of copies
Related archival materials
Related descriptions
Notes element
Specialized notes
Alternative identifier(s)
Description control element
Rules or conventions
Describing Archives - A Content Standard (DACS) 2nd Edition 2013
Sources used
Archivist's note
Description prepared by W. Sornsin.
Access points
Subject access points
Place access points
Name access points
- Great Northern Railway Company (U.S.) (Subject)
