Elementos de identidad
Código de referencia
Nombre y localización del repositorio
Nivel de descripción
Unidad documental simple
Título
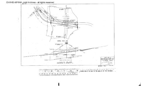
Burlington Northern Engineering Drawing: Cross Sec and General Plan, Culverts, undated
Fecha(s)
- undated (Creación)
Extensión
1 drawing
Nombre del productor
Área de contenido y estructura
Alcance y contenido
Burlington Northern Engineering Drawing: Cross Sec and General Plan, Culverts. Sheet NO345, undated.
Sistema de arreglo
Condiciones de acceso y uso de los elementos
Condiciones de acceso
Please see the Great Northern Railway Historical Society Collection Management Policy for further information. Engineering drawings for which the image is not provided in Railroad Archives Online may be consulted by contacting the Great Northern Railway Historical Society.
Acceso físico
Acceso técnico
Condiciones
Please see the Pacific Northwest Railway Archives Reproduction Policy for further information.
Idiomas del material
- inglés
Escritura(s) de los documentos
- latín
Notas sobre las lenguas y escrituras
Instrumentos de descripción
Generated finding aid
Elementos de adquisición y valoración
Historial de custodia
Ownership of Burlington Northern Railroad Company subjects in this collection resides in the Great Northern Railway Historical Society and the Northern Pacific Railway Historical Association.
Origen del ingreso
Accession W2008-001 (JSRH 220.1), aperture cards, was donated by Timothy Miller to the Great Northern Railway Historical Society and ownership resides in the Great Northern Railway Historical Society. Digital images of the aperture cards were prepared under the joint sponsorship of the Great Northern Railway Historical Society and the Northern Pacific Railway Historical Association; ownership of the digital images is jointly held by the Great Northern Railway Historical Society and the Northern Pacific Railway Historical Association. Accrual W2008-001 received April 5, 2008.
Valoración, selección y eliminación
Acumulaciones
Elementos de material relacionado
Existencia y localización de originales
Existencia y localización de copias
Unidades de descripción relacionadas.
Descripciones relacionadas
Elemento notas
Notas especializadas
Identificador/es alternativo(os)
Área de control de la descripción
Reglas o convenciones
Describing Archives - A Content Standard (DACS) 2nd Edition 2013
Fuentes
Nota del archivista
Descriptions prepared by W. Sornsin
Puntos de acceso
Puntos de acceso por materia
Puntos de acceso por lugar
Puntos de acceso por autoridad
- Burlington Northern Railroad Company (Materia)
